Choroby

Choroby

81 Artykułów

Mączniak rzekomy chmielu

Artykuł

Mączniak rzekomy chmielu

Grzyb zimuje w postaci grzybni, która rozrasta się pomiędzy komórkami w pąkach śpiących znajdujących się w karpie.

Alternarioza

Artykuł

Alternarioza

Rozwój grzybów z rodzaju Alternaria powoduje powstawanie uszkodzeń na całej roślinie.

Stemphylium

Artykuł

Stemphylium

Stemphylium (Plamistość liści)​ to choroba grzybowa wywoływana przez patogeny z rodzaju Stemphylium.

Rdza jęczmienia

Artykuł

Rdza jęczmienia

Objawia się obecnością drobnych, rdzawych plam na liściach i pochewkach liściowych.

Szara pleśń rzepaku

Artykuł

Szara pleśń rzepaku

Charakterystycznym objawem są brunatnoszare, wodniste plamy pokryte szarym, pylącym nalotem grzybni.

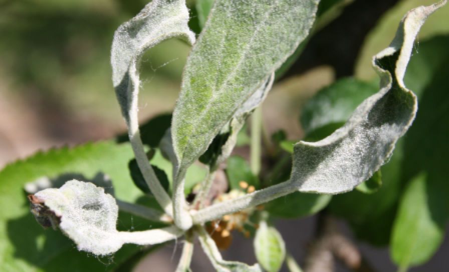
Mączniak prawdziwy jabłoni

Artykuł

Mączniak prawdziwy jabłoni

Charakterystycznym objawem jest biały, mączysty nalot na młodych liściach i pędach, które mogą się zwijać, deformować i obumierać.

Mączniak prawdziwy truskawki

Artykuł

Mączniak prawdziwy truskawki

Objawia się białym, mączystym nalotem na górnej i dolnej stronie liści, ogonkach liściowych, kwiatach i owocach.

Mączniak rzekomy rzepaku

Artykuł

Mączniak rzekomy rzepaku

Choroba występująca przede wszystkim w uprawach rzepaku ozimego i jarego.

Alternarioza cebuli

Artykuł

Alternarioza cebuli

Choroba ta pojawia się wtórnie na liściach i pędach kwiatowych opanowanych przez inne choroby (mączniak rzekomy, szara pleśń).

Rak drzew owocowych

Artykuł

Rak drzew owocowych

W cyklu rozwojowym grzyba wyróżnia się dwa stadia rozwojowe: doskonałe i niedoskonałe.

Rdza gruszy

Artykuł

Rdza gruszy

Grzyb poraża najczęściej liście, ale również pąki liściowe, młode pędy i owoce.

Skórzasta zgnilizna owoców truskawki

Artykuł

Skórzasta zgnilizna owoców truskawki

Na zielonych owocach powstają początkowo jasnobrązowe, później brązowe, suche, gnilne plamy, które mogą obejmować cały owoc.